Bursa
Parçalı Bulutlu
18.2°
Başka Gazete

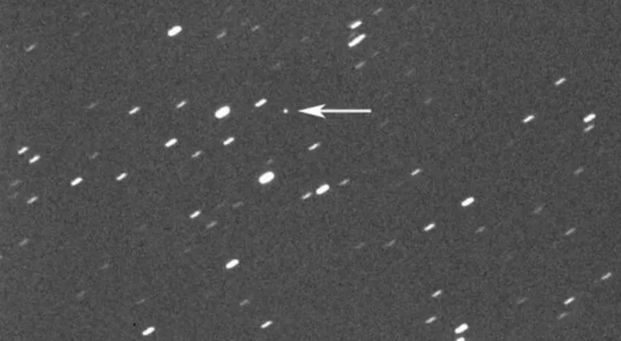
Dev asteroit Dünya ile Ay arasından geçecek

2023.03.25 16:40 Son Güncellenme: 2023.03.25 16:40 - DÜNYA

Çarpması halinde bir şehri yok edebilecek dev bir asteroit hafta sonu zararsız bir şekilde Dünya ile Ay'ın yörüngeleri arasından geçip gidecek. Bilim insanları bu sırada asteroidi yakından inceleme olanağı bulacak.

Dev asteroit Dünya ile Ay arasından geçecek

Asteroitlerin Dünya'nın yörüngesine yakın bir şekilde geçmesi sık rastlanan bir olay. Ancak Amerikan Uzay ve Havacılık Dairesi (NASA) bu kadar büyük bir asteroidin bu kadar yakın geçişine yaklaşık 10 yılda bir rastlandığını belirtiyor.

Bir ay önce keşfedilen ve 2023 DZ2 adı verilen asteroidin çapının 40 ila 90 metre arasında olduğu tahmin ediliyor.

Cumartesi günü Ay'a 515 bin km mesafeden geçecek olan asteroit, Pazar günü TSİ 02.30'da saatte 28 bin km hızla Dünya'ya 68 bin km mesafeden geçecek.

Bu, Ay ile Dünya arasındaki uzaklığın yarısından daha az ve bu mesafeden dürbün ve küçük teleskoplarla gözlenebilecek.

Avrupa Uzay Ajansı'nın gezegen savunma departmanı sorumlusu Richard Moissl, 'şehir yıkan' asteroidin Dünya'ya çarpma ihtimali olmadığını, yakın geçişiyle de gözlem için büyük olanak sağladığını söyledi.
Sanal Teleskop Projesi (Virtual Telescope Project) web sitesinden asteroidin geçişi canlı izlenebilecek.
2023 DZ2 asteroidi 2026'da yeniden Dünya'ya yakın geçecek. Başlangıçta o geçişte küçük de olsa Dünya'ya çarpma ihtimali olabileceği sanılmış, ancak gökbilimciler daha sonra bu ihtimalin olmadığını söylemişti.